受託オンライン
Commissioned Research Online
株式会社薬研社
株式会社薬研社
カテゴリー
カテゴリー 一覧
遺伝子工学
01
遺伝子発現解析
02
シーケンス(塩基配列)解析
03
タンパク質工学
04
細胞解析・作製・培養
05
抗体作製
06
動物実験
07
病理標本作製・検査
08
有機・無機合成
09
アッセイ系構築・試薬調整
10
質量分析・試料分析
11
創薬・薬物動態 ・バイオ医薬品
12
海外製品調達
13
クリーン環境・滅菌・設備レンタル・校正サービス・特注器具,ガラス加工
14
関連サイト
研究機器オンライン
ラボプランニング
実験フローガイド
ワケンG オンラインショップ
薬研社 ホームページ
お問い合わせ
詳細検索
詳細検索
を閉じる
メーカー/販売元
開催中のキャンペーンを絞り込み
セミナー情報ありで絞り込み
カテゴリー
遺伝子工学
遺伝子発現解析
シーケンス(塩基配列)解析
タンパク質工学
細胞解析・作製・培養
抗体作製
動物実験
病理標本作製・検査
有機・無機合成
アッセイ系構築・試薬調整・研究支援ツール
質量分析・試料分析
創薬・薬物動態 ・バイオ医薬品
海外製品調達
クリーン環境・滅菌・設備レンタル・校正サービス・特注器具,ガラス加工
検索
条件クリア
フィルジェン
/
フィルジェン
ID: J00637
電子顕微鏡受託撮影サービス(SEM / TEM)
ID: J00637
印刷
試料作製及び受託撮影サービス
お問い合わせ
カテゴリ
病理標本作製・検査
免疫組織化学・組織標本・電顕
電顕解析
病理標本作製・検査
免疫組織化学・組織標本・電顕
評価・画像解析・病理診断
サービスについて
ご注文に関して
参考価格表・納期
関連サイト
サービスについて
概要
オスミウム・プラズマコーターによる電子顕微鏡用観察試料作製技術を応用することにより、新たな受託サービス「電子顕微鏡受託撮影サービス」を提供しています。試料作製~観察・撮影まで、高品質のサービスをご提供しています。また、お手持ちの電子顕微鏡をお使いの方のために、試料作製受託のみも承ります。是非、ご相談ください。あらゆる試料を観察・分析し、皆様の研究を”ミクロの世界より支援します。”
特長
透過、走査電子顕微鏡、及び試料作製関連の周辺装置を備え、高分子材料・生体組織やウイルス等の含水物はもちろん、金属・非金属など、様々な試料の受託解析・観察を”スピーディー・ロープライス・ハイクオリティー”で行っております。
サービス内容
材料試料
・ナノオーダーの粉体の粒子測定
・セラミックの内部構造解析及び元素分析による新素材研究
・高分子薄膜の膜厚測定
・IC基板の断面観察による検査
・ナノチューブの形態・構造解析
・ガラスコーティング膜の断面構造解析
・ネガティブ染色法によるリポソームの多層構造の観察
生物試料
・培養組織の観察による再生組織の確認
・澱粉粒の状態比較観察による機能性食品証明
・歯の超薄切片による結晶解析の観察
主要設備
透過電子顕微鏡(TEM)(
fig.1
)(
fig.2
)、電解放出型走査電子顕微鏡(FE-SEM)(
fig.3
)、走査電子顕微鏡(SEM)、X線検出器、オスミウム・プラズマコーター(
fig.4
)、真空電子染色装置(
fig.5
)、T-ブチル乾燥装置、イオンスパッター、真空蒸着装置、ウルトラミクロトーム(
fig.6
)、臨界点乾燥装置、瞬間凍結装置、写真画像関連装置
fig.1 H-7600
fig.2 JEM-1400Flash
fig.3 JSM7500F
fig.4 オスミウム・プラズマコーター (型式:OPC80LTM)
fig.5 真空電子染色装置 (型式:VSC4R1H)
fig.6 ウルトラミクロトーム
観察例
・材料試料(
fig.7
)(
fig.8
)(
fig.9
)
・生物試料(
fig.10
)(
fig.11
)
fig.7 受託解析事例:ナノチューブ
写真詳細:50万倍 TEM
fig.8 受託解析事例:HIPS(低温切片)
写真詳細:4千倍 TEM
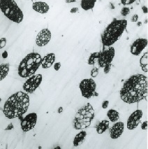
fig.9 受託解析事例:セラミック粒子の内部
写真詳細:5万倍 TEM
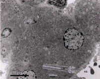
fig.10 受託解析事例:ブタの肝細胞
写真詳細:肝細胞:7千倍
細胞膜:10万倍(挿入写真)
fig.11 受託解析事例:ピロリ菌
写真詳細:1. SEM:1万2千倍 、2. TEM:3万倍
ご注文に関して
お問い合わせフォーム
よりお問い合わせください。
この製品に関するお問い合わせ
参考価格・納期
サービス項目
価格(税抜)
納期
電子顕微鏡受託撮影サービス(SEM / TEM)
お問い合わせ
お問い合わせ
関連サイト
メーカーサイト
HOME
お問い合わせ
お知らせ
キャンペーン情報一覧
製品カテゴリー一覧
メーカー別索引
販売元別索引
ご利用ガイド
研究機器オンライン
ラボプランニング
実験フローガイド
ワケンG オンラインショップ
薬研社 ホームページ
/
お問い合わせリストへ
※お問い合わせは完了しておりません。